LUPMIS - GIS User Manual for Land Use Planning


Go to content

Main menu:


5.3.6 Shift raster map

5. Conversion of data > 5.3 Raster maps

5.3.6 Shift Raster Map

Level of expertise required for this Chapter: Intermediate; general Map Maker training

A) You can move a raster map a short distance by:

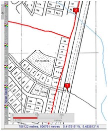
1.You calculate, which distance the map has to be moved horizontally (in W or E direction) and/or vertically (in N or S direction). It is recommended, to have a display with the raster map and geographically correct (if possible, GPS-tracked) line data. The example right shows a raster sector layout map, and the tracked lines of red roads and blue rivers.

- 1.1 Mark a clear point in both maps (in the example below with makers). To set a marker, press M.
- 1.2 Read the coordinates from the bottom left of the screen.
- 1.3 Calculate the differences both in horizontal and vertical directions.


- - - - -


   

Meter, positive (>0)

Meter, negative (<0)

Horizontal

W-E direction

-> E

-> W

Vertical

N-S direction

-> N

-> S

2. In Map Maker:
Main menu > Edit > Live layer rubber sheet > Show bitmap rubber sheet > Choose file window: Select the file type (preferably, you work with TIF files) > Select folder and file of the original raster file > Open > If a display appears: This bitmap is calibrated. Do you want to initialize the image to this calibration?: Yes >

> Rubber sheet manager window: Enter the shift values in horizontal and vertical directions ( in meters, as explained above) > Select ‘Fine bitmap resolution’ > Apply rubber sheet transformation permanently > Preferably, select same file type as source file type (e.g. TIF) > Define new file name (recommended: previous file name, with _shft added to the file name, before the dot and the extension) > Save >



Rubber sheet window:



Reduce the meters per pixel to:

  • 0.5 at sector layouts, orthophotomaps, satellite images
  • 5 at topographic maps of 1:50,000
  • different value at other maps

> OK >

> Rubber sheet window: The processing and display of the map might take some time. Be patient! > OK > Select calibration options window: Map Maker Calibration > OK > Be patient again!

Finished! You can now load the processed image.

- - - - -


B) You can also rotate an image:

First, estimate how much (how many degrees) you want the image to be rotated. This is often trial-and-error.

In Map Maker:
Main menu > Utilities > Bitmap utilities > Revolve > Choose file window: Select the file type (preferably, you work with TIF files), folder, file name of the original raster file > Open > Transform file window > Write to a new file > Preferably, select same file type as source file type (e.g. TIF) > Define new file name (recommended: previous file name, with _rot added to the file name, before the dot and the extension) > Save > OK >

Enter clockwise rotation in degrees windows: Enter angle in degrees clockwise > OK



Finished! You can now load the processed image.

In both cases above (1: moving and 2: rotating) the scale will not be changed. If you have maps (e.g. sector layouts) with a grid, it is recommended to check the distance between the grid lines. In the example below, 3 grid lines on the 1:2,500 sector layout indicate 3 x 1000 feet = 914.40 m. Check with the
Tape-tool from the toolbar left.


- - - - -

C) If you know the distance to move at the four corners, you can also use the 'Stretch by the four corners' options, which requires some preparation:

1. Calculate for each corner the shifting distance in x and y direction (can be + or - or 0).

2. Prepare an external worldfile (see also Annex 2.3):
Main menu > Utilities > Bitmap utilities > Convert file format > From JPG > Select folder and file to be stretched > Open > Save as window > Specify new file name (e.g. Temp), as default BMP > Save > Select calibration options window: World file (bpw) > OK

3. Stretch the image:
Main menu > Utilities > Bitmap utilities > Stretch by the four corners > Select the folder and file, as prepared in the previous step (e.g. Temp.bmp) > Open > (it might take a minute to load) > Four corner stretch window: Enter the shifting distance at the corner (1, see below, example of +500 m in x direction of top left corner) > Apply stretch (2) > (During process, image will be shown, 3) > Save as window: Select same file (!) as source file (here: Temp.bmp) > Save > Close (4)



4. Bring it back to Map Maker calibration format
Main menu > Utilities > Bitmap utilities > Convert file format > From BMP > Select file of previous step (here: Temp.bmp) > Open > Save as window > File format: JPG > Specify the very original file name > Save > Select calibration options window: Map Maker calibration > OK

Finished.




Home Page | 0. Rationale | 1. GIS handling | 2. GIS data entry | 3. GIS operations | 4. Attribute database | 5. Conversion of data | 6. Presentation | 7. GIS for land use planning | 8. LUPMIS Tools | 9. Databases | Annexes | Site Map


Back to content | Back to main menu